العاصفة “ميليسا” تهدد الكاريبي بفيضانات كارثية
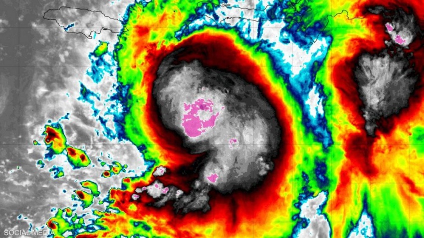
اقتربت العاصفة المدارية “ميليسا”، اليوم السبت (25 تشرين الأول 2025)، من التحول إلى إعصار، وسط تحذيرات من أمطار غزيرة قد تتسبب بفيضانات وانهيارات أرضية خطيرة في منطقة البحر الكاريبي الشمالية.
وأوضح المركز الوطني الأمريكي للأعاصير أن العاصفة تتمركز على بعد نحو 260 كيلومتراً جنوب شرق كينغستون في جامايكا، وتتحرك ببطء نحو الشمال الغربي بسرعة 3 كيلومترات في الساعة، مصحوبة برياح تصل إلى 110 كيلومترات في الساعة.
وأشار المركز إلى أن الأمطار قد تتجاوز 89 سنتيمتراً في مناطق من هايتي وجمهورية الدومينيكان، ما قد يؤدي إلى فيضانات كارثية، لافتاً إلى أن العاصفة أسفرت حتى الآن عن أربعة قتلى ومفقود واحد في هايتي والدومينيكان.
وأضاف أن “ميليسا” مرشحة لأن تشتد بسرعة وتتحول إلى إعصار كبير بحلول يوم الأحد.

